Download
2022's ninth typhoon Ma-on expected to make landfall in southern China
CGTN
00:33

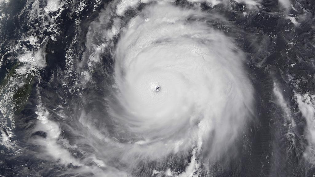
At 10 a.m., the eye of Ma-on, the ninth typhoon of 2022, was about 590 kilometers southeast of Yangjiang City, Guangdong Province on the South China Sea. It is expected to make landfall on August 25 between the Zhuhai and Zhanjiang cities in Guangdong. There will be heavy to torrential rain in the south and west of Guangdong, east and north of Hainan Province, and the southern coast of the Guangxi Zhuang Autonomous Region. 

Watch this Weather China video to find out more. Weather China is the online weather service of the China Meteorological Administration.

(If you want to contribute and have specific expertise, please contact us at nature@cgtn.com.)

Search Trends